Permit Application Status

PRPWRW20255174


In order to schedule inspections, you need to be signed in.

 / 

Note: You can collapse and expand individual sections by clicking the header of the section you wish to collapse/expand.

Summary
PRPWRW20255174
Public Works Right of Way Permit
Issued
HUNT MIDWEST RESIDENTIAL LLC
PW ROW Gas
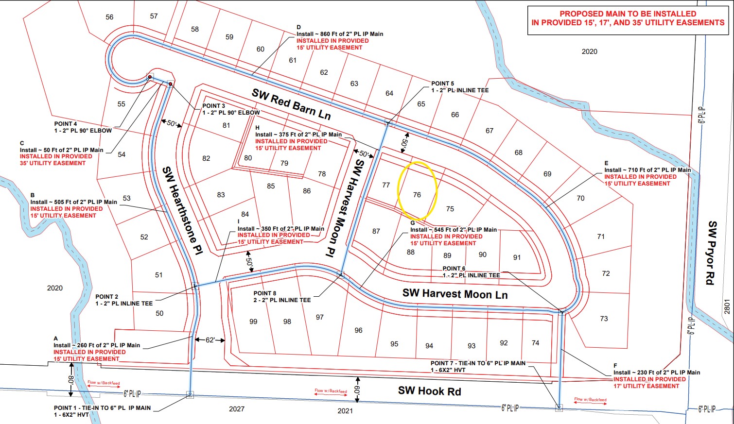
Spire-Dig 2x4 hole in the dirt to install service at 2033 SW Red Barn Ln Cut is 19’ north of the north curb line of SW Red Barn Ln and 3’ east of the east house line Max task 36924685 Spire has a section of sidewalk across the street they will be putting back.
11/24/2025
02/09/2026
04/10/2026
Locations
Contacts
Spire Energy  
HUNT MIDWEST RESIDENTIAL LLC, Address:8300 NE UNDERGROUND DR STE 100  
Tiffany Hanks, Address:3025 CLOVER DR SE, Phone:(816) 360-5983  
Reviews

There are no reviews for this permit application.

Fees
Paid Fees Amount Paid Owing Date Paid
ROW Length of Boring $85.00 $85.00 Paid 11/25/2025
ROW Length of Excavation $85.00 $85.00 Paid 11/25/2025
Outstanding Fees Amount Paid Owing Date Paid
No outstanding fees.


$0.00
Inspections

There are no inspections for this permit application.

Documents & Images
Date Uploaded File Type Document Name
11/24/2025 36924685
11/25/2025 Certificate/License PW ROW Permit
11/25/2025 Receipt Receipt for transaction:2025-008660
02/09/2026 Letter PW ROW Inspections Report
02/09/2026 Possibly Spire sidewalk
03/02/2026 Letter PW ROW Inspections Report
Upload Documents

Guidelines For Electronically Submitting Documents:

  • Submitted documents should be under 100MB in size.
  • Accepted file extensions:
    • pdf, jpg, xls, doc, xlsx, docx, dwg
  • All plans shall be to scale.
  • Recommended naming conventions:
    • Keep filename consistent.
    • Avoid the use of non-friendly filenames. (ex. k9dk38fj3.pdf)
    • Avoid inappropriate language in filenames.
  • Submitted documents will be stamped at the conclusion of the review.
    • The stamp will be placed in the upper right hand corner of the document. It is recommeded that this area, to the extent possible, be left blank so that no information is lost when the the stamp is applied.
Remember to click the Upload Document button. If you are applying for a New permit, make sure to click the "next step" button after you have completed the upload of documents

Select any documents you wish to provide:





Portal Home