Permit Application Status

PRPWRW20254151


In order to schedule inspections, you need to be signed in.

 / 

Note: You can collapse and expand individual sections by clicking the header of the section you wish to collapse/expand.

Summary
PRPWRW20254151
Public Works Right of Way Permit
Closed
HUNT MIDWEST RESIDENTIAL LLC
PW ROW Gas
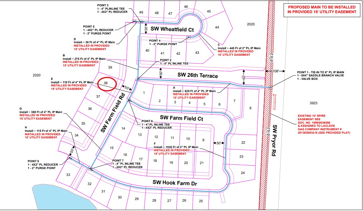
Spire-Dig 2x4 hole in the dirt to install service at 2606 SW Farm Field Rd Cut is 16’ east of the east curb line of SW Farm Field Rd and 4’ south of the south house line – Bore under SW Farm Field Rd Max task 36644129
09/26/2025
09/30/2025
12/01/2025
12/22/2025
Locations
Contacts
Spire Energy  
HUNT MIDWEST RESIDENTIAL LLC, Address:8300 NE UNDERGROUND DR STE 100  
Tiffany Hanks, Address:3025 CLOVER DR SE, Phone:(816) 360-5983  
Reviews

There are no reviews for this permit application.

Fees
Paid Fees Amount Paid Owing Date Paid
ROW Length of Boring $85.00 $85.00 Paid 09/30/2025
ROW Length of Excavation $85.00 $85.00 Paid 09/30/2025
Outstanding Fees Amount Paid Owing Date Paid
No outstanding fees.


$0.00
Inspections

There are no inspections for this permit application.

Documents & Images
Date Uploaded File Type Document Name
09/26/2025 36644129
09/30/2025 Certificate/License PW ROW Permit
09/30/2025 Receipt Receipt for transaction:2025-007430
10/09/2025 Letter PW ROW Inspections Report
11/24/2025 Sidewalk across street
11/24/2025 Sidewalk pic 2
11/24/2025 Letter PW ROW Inspections Report
12/08/2025 Letter PW ROW Inspections Report
12/22/2025 Letter PW ROW Inspections Report
Upload Documents

Guidelines For Electronically Submitting Documents:

  • Submitted documents should be under 100MB in size.
  • Accepted file extensions:
    • pdf, jpg, xls, doc, xlsx, docx, dwg
  • All plans shall be to scale.
  • Recommended naming conventions:
    • Keep filename consistent.
    • Avoid the use of non-friendly filenames. (ex. k9dk38fj3.pdf)
    • Avoid inappropriate language in filenames.
  • Submitted documents will be stamped at the conclusion of the review.
    • The stamp will be placed in the upper right hand corner of the document. It is recommeded that this area, to the extent possible, be left blank so that no information is lost when the the stamp is applied.
Remember to click the Upload Document button. If you are applying for a New permit, make sure to click the "next step" button after you have completed the upload of documents

Select any documents you wish to provide:





Portal Home