Permit Application Status

PRPWRW20236373


In order to schedule inspections, you need to be signed in.

 / 

Note: You can collapse and expand individual sections by clicking the header of the section you wish to collapse/expand.

Summary
PRPWRW20236373
Public Works Right of Way Permit
Closed
PW ROW Gas
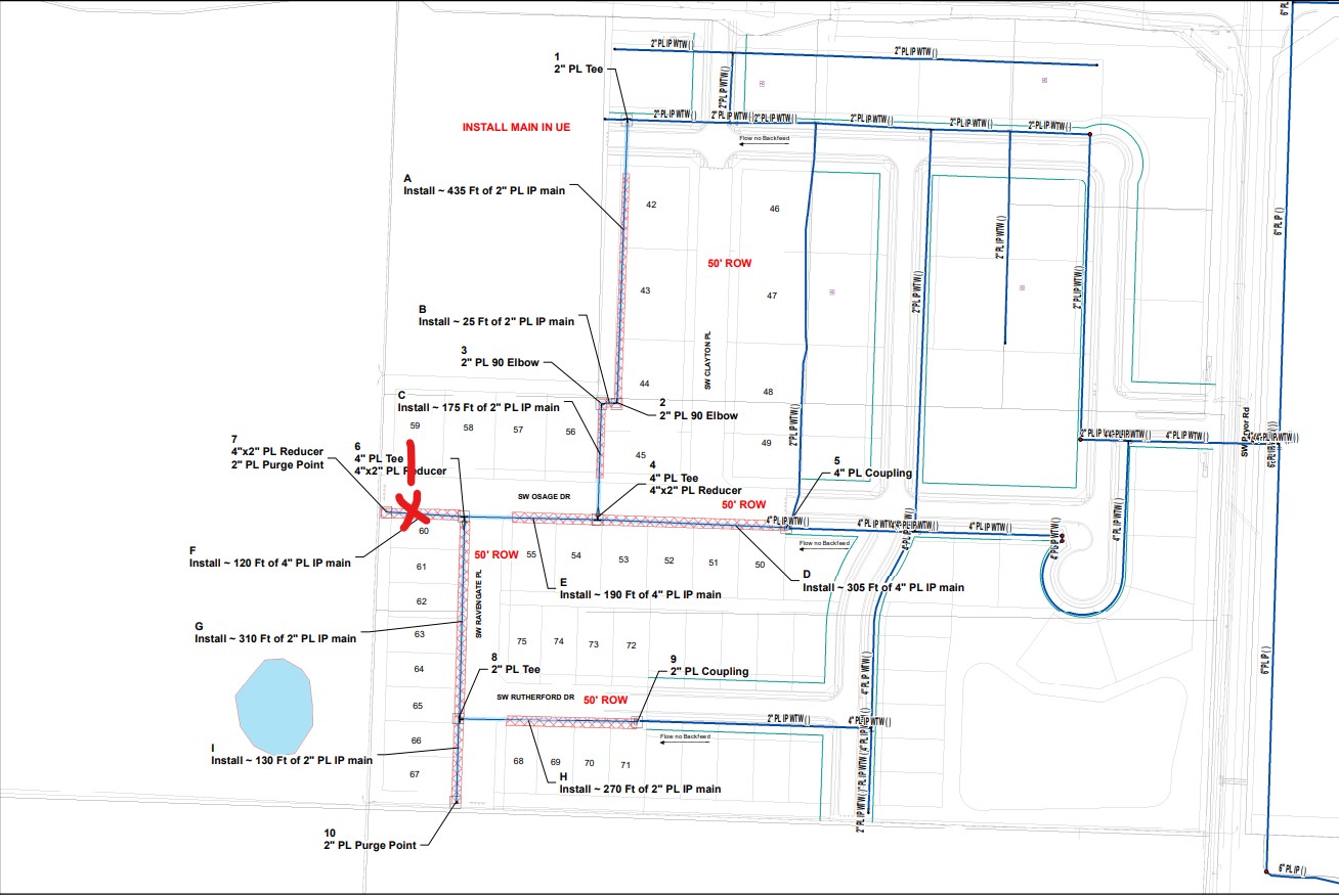
Spire-Dig 2x4 hole in the dirt to install service at 2208 SW Osage Dr - Lot 59A Cut is 19’ south of the south curb line of SW Osage Dr and 6’ east of the east house line – Bore under SW Osage Dr Max task 30586842, Project 027175
12/05/2023
12/06/2023
02/05/2024
12/21/2023
Locations
Contacts
Spire Energy  
Tiffany Hanks, Address:3025 CLOVER DR SE, Phone:(816) 360-5983  
Reviews

There are no reviews for this permit application.

Fees
Paid Fees Amount Paid Owing Date Paid
ROW Length of Boring $85.00 $85.00 Paid 12/06/2023
ROW Length of Excavation $85.00 $85.00 Paid 12/06/2023
Outstanding Fees Amount Paid Owing Date Paid
No outstanding fees.


$0.00
Inspections

There are no inspections for this permit application.

Documents & Images
Date Uploaded File Type Document Name
12/05/2023 30586842
12/06/2023 Certificate/License PW ROW Permit
12/06/2023 Receipt Receipt for transaction:2023-008914
12/21/2023 Letter PW ROW Inspections Report
Upload Documents

Guidelines For Electronically Submitting Documents:

  • Submitted documents should be under 100MB in size.
  • Accepted file extensions:
    • pdf, jpg, xls, doc, xlsx, docx, dwg
  • All plans shall be to scale.
  • Recommended naming conventions:
    • Keep filename consistent.
    • Avoid the use of non-friendly filenames. (ex. k9dk38fj3.pdf)
    • Avoid inappropriate language in filenames.
  • Submitted documents will be stamped at the conclusion of the review.
    • The stamp will be placed in the upper right hand corner of the document. It is recommeded that this area, to the extent possible, be left blank so that no information is lost when the the stamp is applied.
Remember to click the Upload Document button. If you are applying for a New permit, make sure to click the "next step" button after you have completed the upload of documents

Select any documents you wish to provide:





Portal Home